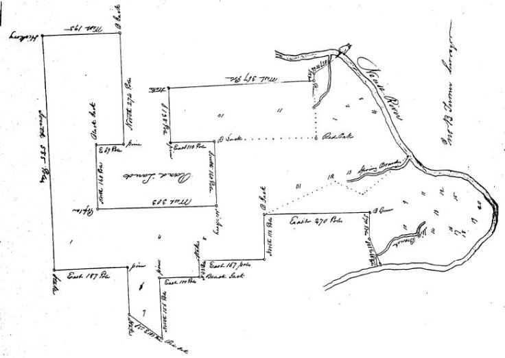
In 1826, the courts ordered 316A of John McKinnie’s land be layed off and allotted to Eliza Young wife of John Y Young.
The legal proceedings required that a plat be made representing the tract of lands lying on the south side of Neuse River belonging to Larkin Smith & John McKinne Smith dec’d. A good find to tie all this land together.

Eliza Young appears to be the daughter of John McKinnie Smith’s half sister Sally who married Henry Jones.
Eliza and John Young sold the land in 1832 and eventually moved to Arkansas by way of Tennessee.

Leave a comment